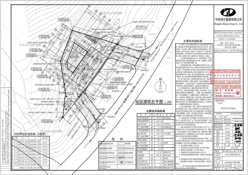
红水乡加油站迁建工程坐落于红水乡红水村候车亭附近,该项目总平面规划设计方案于2025年8月8日经我局审批通过。依据融水县红水乡加油站提交的申请,现将“红水乡加油站迁建工程”总平面规划设计调整方案公告如下:
一、总平面规划方案调整内容:
(一)加油站罩棚建筑面积由174.84平方米调整为71.92平方米;加油站站房建筑面积由197.49平方米调整为192.72平方米。
二、根据《中华人民共和国城乡规划法》及相关法律法规的规定,现按有关程序将“红水乡加油站迁建工程”总平面规划设计方案进行公示,征求利害关系人意见,并召开听证会。
三、相关利害关系人对上述调整方案有意见的,可通过书面方式或在听证会上发言的方式提出。书面意见和参加听证会申请请于2026年3月5日前送至融水苗族自治县自然资源和规划局规划股(联系电话: 0772-5129737)。
四、参加听证会人员应于2026年3月6日前向融水苗族自治县自然资源和规划局规划股提交申请表及个人身份证明、利害关系证明,并准时参加听证会,对听证会主持人员组成有异议的,应在会前提出。参加听证会的共同利害关系人人数较多的,应选取代表作为发言人,其余参加会议的共同利害关系人可通过书面或委托代表发言的方式表达意见。
五、公示地点:“红水乡加油站迁建工程”项目所在地和广西柳州融水苗族自治县人民政府门户网站(http://www.rongshui.gov.cn/tzgg/)。
六、公示时间: 2026年2月6日至2026年3月5日。
七、听证时间:2026年3月6日上午10点00分。
八、听证地点:融水苗族自治县自然资源和规划局三楼会议室。
融水苗族自治县自然资源和规划局
2026年2月6日

切换行业






正在加载...



